ID CP2484134

Teren de 15 Ha pentru dezvoltare rezidentiala langa Castelul Bánffy, Bonțida

ID CP2484134

7,500,000 €

Teren de 150,000 mp de vânzare
Rascruci
150,000 mp

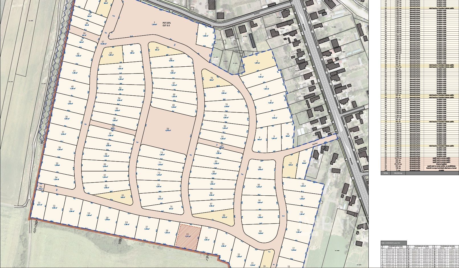
Impakt Imobiliare va propune spre vanzare un teren de 15 Ha situat in Rascruci, comuna Bontida, judetul Cluj.

Acest teren reprezinta o oportunitate rara pentru dezvoltatori si investitori interesati de realizarea unui cartier rezidential de mare amploare.Aproape de orasul Cluj-Napoca, dar in acelasi timp intr-o locatie linistita, acesta beneficiaza de toate avantajele unei zone in plina expansiune, fiind situat la doar 30 de minute de centrul orasului.

Terenul se afla intr-o zona intravilana, ceea ce permite utilizarea acestuia pentru scopuri rezidentiale si mixte, fiind deja aprobat prin Planul Urbanistic Zonal pentru dezvoltare rezidentiala. Suprafata de 15 ha poate sustine un numar semnificativ de locuinte unifamiliale, iar o posibila reparcelare ar permite realizarea a pana la 163 de unitati locative, facand din acest teren o optiune

ideala pentru dezvoltarea unui cartier modern si bine conectat la retelele de utilitati existente.

Proprietatea beneficiaza de o forma patrata, cu o deschidere de 200 de metri la drum si acces rutier pe doua laturi, ceea ce asigura o mobilitate excelenta. Terenul este conectat la retelele de electricitate, apa, gaz si canalizare, iar pe proprietate se afla un transformator de 400 kVA, garantand o alimentare fiabila cu energie electrica. De asemenea, investitiile publice din zona, cum ar fi cresa publica si zona verde de aproape 7.300 m², sunt planificate pentru a sprijini dezvoltarea si a asigura un mediu de trai de calitate.

In imediata apropiere a terenului, Parcul Industrial Tetarom III este deja un pol important de dezvoltare economica, cu peste 7.500 de locuri de munca si investitii de peste 600 milioane EUR. Acesta reprezinta un avantaj semnificativ pentru viitorii locatari ai cartierului, oferindu-le acces la o gama larga de oportunitati profesionale. In plus, proximitate fata de Aeroportul International Cluj, care va beneficia de o pista extinsa si de un terminal nou, asigura conectivitate internationala excelenta.

Regiunea este bogata in istorie si cultura, iar Castelul Banffy din Bontida, un monument istoric de renume, atrage anual mii de turisti si participanti la festivaluri internationale, precum „Electric Castle”. Acesta adauga o nota de prestigiu si un farmec aparte zonei, fiind un simbol al renasterii si al traditiilor transilvanene.

Consideram ca acest teren reprezinta o oportunitate deosebita pentru dezvoltatori care doresc sa investeasca intr-o zona aflata in plina expansiune, cu acces rapid la infrastructura de top, dar care isi pastreaza totodata caracterul autentic si linistit al regiunii transilvanene. Este o oportunitate de a construi un cartier de case moderne intr-un cadru natural si cultural unic, ideal atat pentru tineri profesionisti, cat si pentru familii care cauta sa se stabileasca intr-un mediu de viata echilibrat si cu potential de apreciere pe termen lung.

Pe langa vanzare se accepta si asocierea! Pret 50 Eur /m2

Citește mai mult

  • Tip teren
    Construcții
  • Suprafață teren
    150,000 mp
  • Front stradal
    200.0 m
  • Clasificare
    Intravilan
  • Disponibilitate
    Imediat
  • PUZ Aprobat
    Da

Facilități

Ovidiu Stetco - Impakt Imobiliare
Ovidiu Stetco
Manager - Expert Imobiliar

0754038635


Solicită chiar acum o vizionare
Nume
Telefon
Email
Sună acum Solicită vizionare
Necesare:

Site-ul nu poate funcționa corect fără aceste cookie-uri. Vezi cookie-urile

Statistică:

Strângem statistici anonime despre voi, vizitatorii unici, pentru a vă îmbunătăți experiența dumneavoastră. Vezi cookie-urile

Marketing:

Pentru a ne promova mai eficient serviciile noastre, folosim cookies pentru a vă identifica și a vă oferi proprietăți și servicii personalizate. Vezi cookie-urile

Acest site folosește cookies, află detalii. Alege ce tipuri de cookies dorești să permitem: